لقي 19 شخصًا على الأقل مصرعهم في جزيرة جامايكا الكاريبية إثر اجتياح إعصار "ميليسا" الشديد.
وأفادت وزيرة الإعلام الجامايكية دانا موريس ديكسون اليوم بأن العدد الإجمالي للوفيات في منطقة البحر الكاريبي بأكملها بلغ 50 حالة على الأقل، مع توقعات بارتفاع الحصيلة مع استمرار عمليات البحث والإنقاذ.
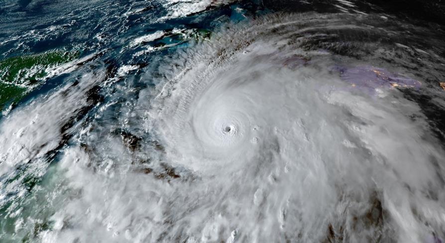
وضرب الإعصار "ميليسا" سواحل جامايكا اليوم كإعصار من الفئة الخامسة، مسجلًا كواحد من أعنف العواصف في تاريخ المحيط الأطلسي.
وأفادت وزيرة الإعلام الجامايكية دانا موريس ديكسون اليوم بأن العدد الإجمالي للوفيات في منطقة البحر الكاريبي بأكملها بلغ 50 حالة على الأقل، مع توقعات بارتفاع الحصيلة مع استمرار عمليات البحث والإنقاذ.
وضرب الإعصار "ميليسا" سواحل جامايكا اليوم كإعصار من الفئة الخامسة، مسجلًا كواحد من أعنف العواصف في تاريخ المحيط الأطلسي.

كسوة الكعبة المشرفة
الفيصل يضخ المياه العذبة ويؤسس للجامعات في محافظات المنطقة / نبراس - إنتصار عبدالله
تصحيح أوضاع 249 ألف برماوي خلال عامين أطلقها الأمير خالد الفيصل عام 1434هـ


